Subasta de Vivienda en PONTEDEUME

Visto 72 veces

VIVIENDA UNIFAMILIAR SITA EN LG. DE PORTO Y SITIO CONOCIDO COMO FUENTE DE INSUA COMPUESTA DE 2 PLANTAS DE UNA SUPERFICIE TOTAL CONSTRUIDA DE 146,10 M2, DE LOS CUALES CORRESPONDEN 101,00 M2 A LA PLANTA BAJA Y LOS RESTANTES 45,10 M2. A LA PLANTA SUPERIOR.PLANTA BAJA TRES DORMITORIOS CON BAÑO,ZONA DE ESTAR,COMEDOR Y ZONA DE SERVICIO CON ENTRADA INDEPENDIENTE,COMPUESTA DE COCINA,DESPENSA Y OFICIO.PLANTA SUPERIOR UN DORMITORIO CON BAÑO,ESTAR-COMEDOR Y COCINA,DESTINANDOSE EL RESTO DE SUPERFICIE A TERRAZAS,ESTANDO COMUNICADAS LAS DOS PLANTAS MEDIANTE UNA ESCALERA METALICA SITUADA EN LA SALA DE ESTAR-COMEDOR Y CON TERRENO UNIDO A LA MISMA FORMANDO EL CONJUNTO UNA SOLA FINCA,SUPERFICIE TOTAL FINCA:509M2

DISCREPANCIAS ENTRE SUPERFICIE REGISTRAL Y CATASTRAL.

Vivienda en PONTEDEUME

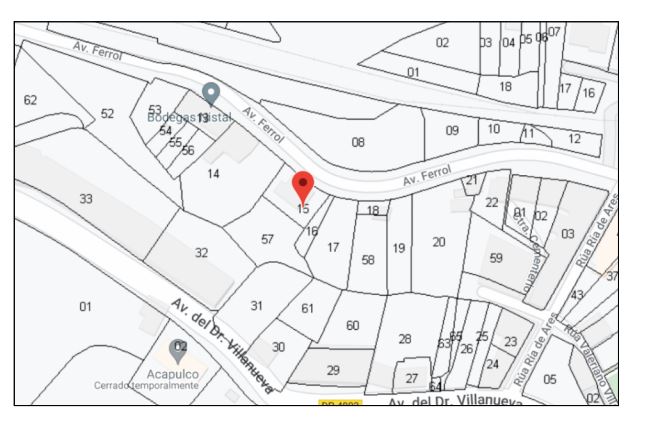
Este bien se encuentra en la siguiente dirección: AV FERROL 71, 15600, PONTEDEUME, A Coruña

Está valorado en 87.753,54 € y no presenta cargas.

No hay pujas para esta subasta.

Para acceder a la información oficial del BOE para esta subasta de Vivienda en PONTEDEUME, haz click en el botón Ver Ficha:

Ver ficha

Quizá te interese

Subastas de inmuebles Últimas subastas del BOE

¿Tienes algún comentario? ¡Escríbenos!

Email