Subasta de Solar en VALDEFRESNO

Visto 9 veces

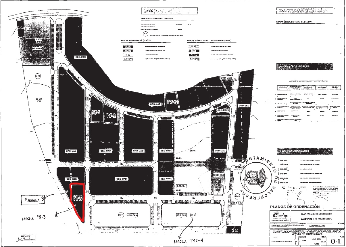
100% PLENO DOMINIO. URBANA:SOLAR.LOCALIZACIÓN:URBANIZACIÓN LAS LOMAS II P8-3. SECTOR LAS LOMAS II DE VALDEFRESNO.CUOTA:1,778386%.MANZANA 8.-PARCELA P8-3 DEL PLAN PARCIAL DE ORDENACIÓN EN SUELO NO DELIMITADO DEL SECTOR LAS LOMAS II DEL AYTO DE VALDEFRESNO. USO:RESIDENCIAL.APROVECHAMIENTO:862, 22M2.Nº DE VIVIENDAS:5.FINCAS APORTADAS:1,2 Y 3DEL PROYECTO,O REGISTRALES NºS12.352,12.351 Y 8.586 DE DICHO AYUNTAMIENTO.SUPERFICIES:TERRENO: 1170,30M2.LINDEROS:NORTE,LINEA RECTA DELIMITANDO CON EL VIAL,SUR,EMPALME DE LAS DOS LINEAS RECTAS,ESTE,VIAL,OESTE, EN LINEA QUEBRADA VIAL DE LA URBANIZACIÓN Y PARCELA P8-1. NO TIENE REF.CATASTRAL PROPIA. PARCELA INCLUIDA EN LA REF. CATASTRAL: 24178A523001220000BS.

Se adjunta plano de la parcela catastral 24178A523001220000BS aportado por el Ayuntamiento en el que se señala el solar a enajenar.

Solar en VALDEFRESNO

Este bien se encuentra en la siguiente dirección: UR URBANIZACIÓN LAS LOMAS II 8, 24156, VALDEFRESNO, León

Está valorado en 138.682,00 € y no presenta cargas.

No hay pujas para esta subasta.

Para acceder a la información oficial del BOE para esta subasta de Solar en VALDEFRESNO, haz click en el botón Ver Ficha:

Ver ficha

Quizá te interese

Subastas de inmuebles Últimas subastas del BOE

¿Tienes algún comentario? ¡Escríbenos!

Email