Subasta de Finca rústica en BARREIROS

Visto 42 veces

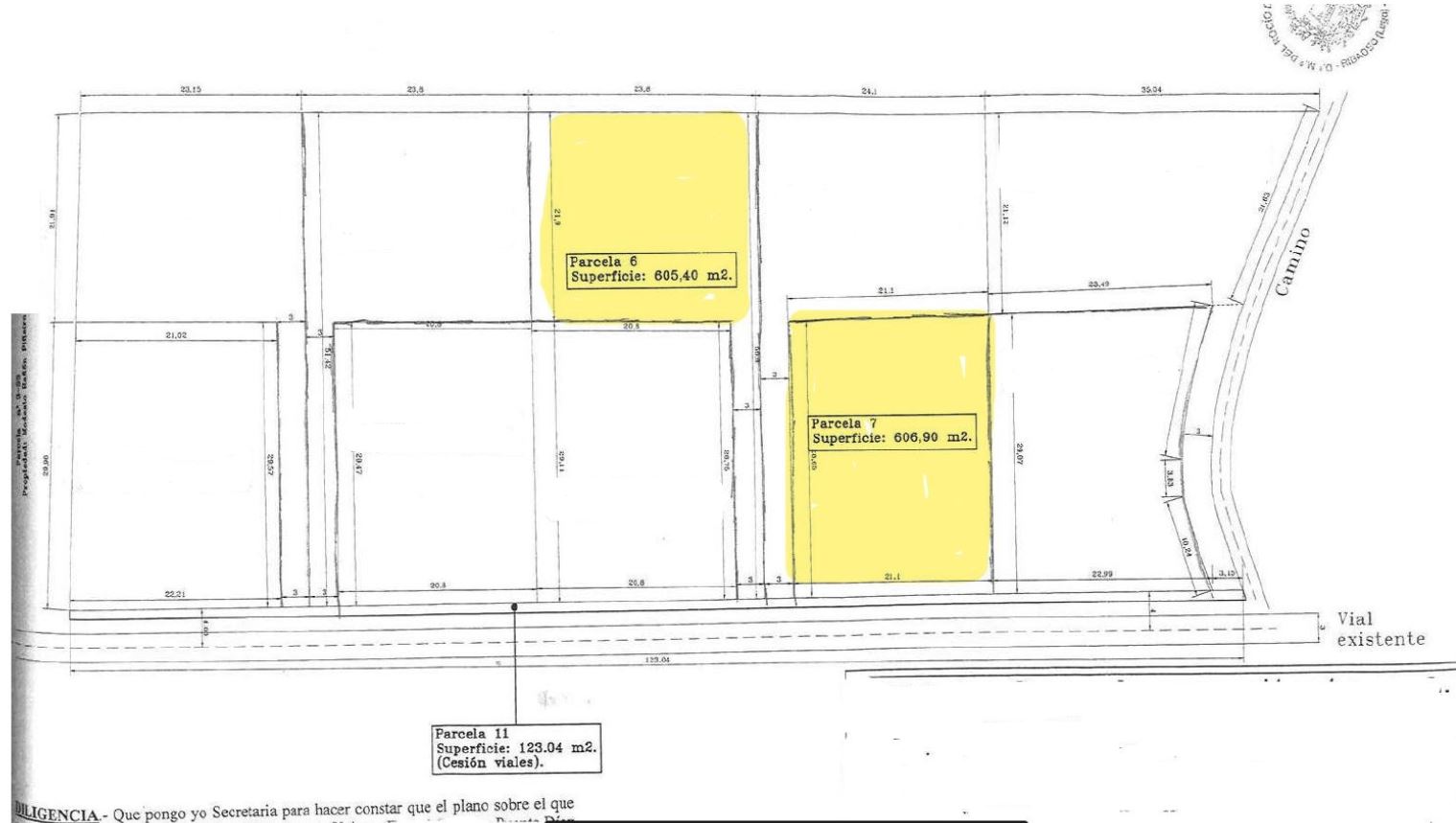
NATURALEZA DE LA FINCA: RÚSTICA, MUNICIPIO: BARREIROS,PARAJE: ZONA DE BENQUERENCIA NOMBRE DE LA FINCA: FIEIRO DESCRIPCIÓN: PARCELA 7.- PROCEDENTE DE LA FINCA 3-31 Y 3-32 DE LA CONCENTRACIÓN PARCELARIA DE BENQUERENCIA.- SUPERFICIE AREA DEL TERRENO: 6,069 ÁREAS LINDEROS: NORTE: CON LA PARCELA 8 PROCEDENTE DE ESTA FINCA. SUR: PARCELA 11 DESTINADA A VIAL Y QUE LA SEPARA DE CAMINO PÚBLICO. OESTE: PARCELA 9 PROCEDENTE DE ESTA FINCA. ESTE: PARCELA 8 PROCEDENTE DE ESTA FINCA.

Finca rústica en BARREIROS

Este bien se encuentra en la siguiente dirección: LG FINCA FIEIRO 0, 27790, BARREIROS, Lugo

Está valorado en 15.153,75 €

No hay pujas para esta subasta.

Para acceder a la información oficial del BOE para esta subasta de Finca rústica en BARREIROS, haz click en el botón Ver Ficha:

Ver ficha

Quizá te interese

Subastas de inmuebles Últimas subastas del BOE

¿Tienes algún comentario? ¡Escríbenos!

Email