Subasta de Solar en VALDEFRESNO

Visto 18 veces

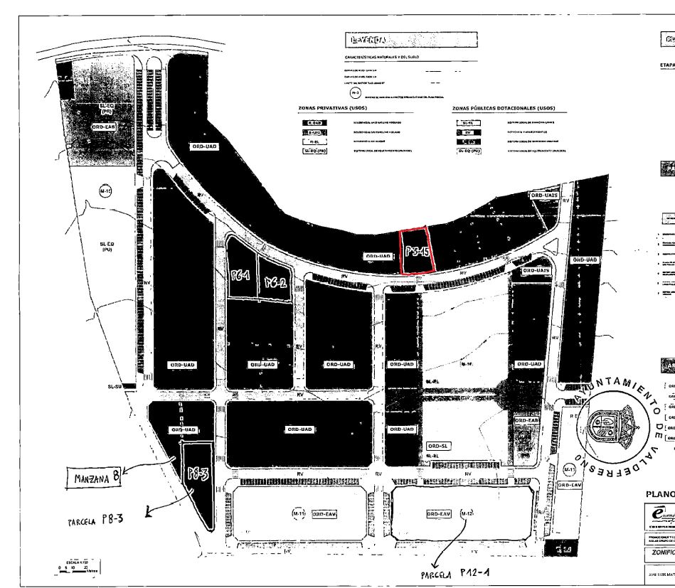
100% DEL PLENO DOMINIO. URBANA:SOLAR.LOCALIZACIÓN:URBANIZACIÓN LAS LOMAS II P3-15.SITUACIÓN: SECTOR LAS LOMAS II DE VALDEFRESNO.CUOTA:0,734273%. MANZANA 3. PARCELA P3-15 DEL PLAN PARCIAL DE ORDENACIÓN EN SUELO NO DELIMITADO DEL SECTOR LAS LOMAS II DEL AYTO DE VALDEFRESNO. USO:RESIDENCIAL.APROVECHAMIENTO:356M CUADRADOS. NºVIVIENDAS:2.FINCAS APORTADAS:1,2 Y 3 DEL PROYECTO,REGISTRALES NºS12.352,12.351 Y 8.586 DE DICHO AYUNTAMIENTO. SUPERFICIE: TERRENO:644,35M2. LINDEROS:NORTE,LIMITE DEL SECTOR SUR,PARCELA DESTINADA PARA VIALES ESTE,PARCELA P3-16 OESTE,PARCELA P3-14. NO TIENE REF.CATASTRAL PROPIA. PARCELA INCLUIDA EN REF. CATATRAL 24178A52300122000BS

Se ejecuta la diligencia embargo 281323315020A, anotada por letra A, prorrogada. INFORMACIÓN CATASTRAL: FORMA PARTE DEL POLÍGONO 523 PARCELA 122 INCLUIDO EN LA REF. CATASTRAL: 24178A523001220000BS

Solar en VALDEFRESNO

Este bien se encuentra en la siguiente dirección: UR URBANIZACIÓN LAS LOMAS II 3, 24156, VALDEFRESNO, León

Está valorado en 3.904,80 €

No hay pujas para esta subasta.

Para acceder a la información oficial del BOE para esta subasta de Solar en VALDEFRESNO, haz click en el botón Ver Ficha:

Ver ficha

Quizá te interese

Subastas de inmuebles Últimas subastas del BOE

¿Tienes algún comentario? ¡Escríbenos!

Email